El nuevo enlace de la AS-II en Roces, con dos glorietas, costará 3,7 millones
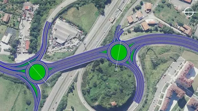
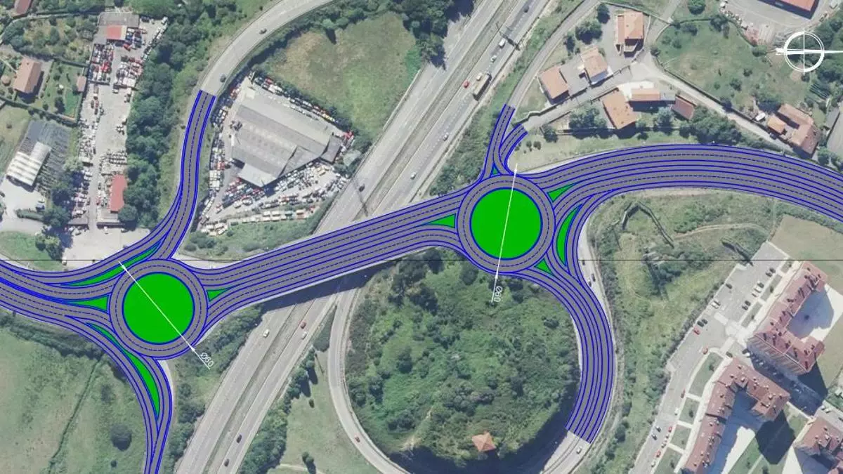
La apuesta es crear un enlace en forma de pesa con dos glorietas de 44 metros de diámetro

Recreación del proyecto de Roces. / Lne
El proyecto del nuevo enlace entre la AS-II y la autovía del Cantábrico, con la conocida propuesta de crear dos grandes glorietas en Roces para mejorar la fluidez del tráfico, acaba de salir a información pública y, según el Principado, la actuación superará los 3,7 millones de euros de inversión.
El proceso de información pública se hizo firme a través del Boletín Oficial del Principado de Asturias (BOPA) y es el trámite previo a la licitación de la obra en sí. "La remodelación es una muestra del compromiso del Gobierno de Asturias con la ciudad y la movilidad sostenible", defendió ayer Alejandro Calvo, consejero de Movilidad.
El proyecto busca remodelar los dos nudos actuales de conexión entre ambas vías (la AS-II y la A-8) para dar una solución "más sencilla para los conductores" y lograr "una circulación más fluida de los vehículos" procedentes de la autovía.
La apuesta es crear un enlace en forma de pesa con dos glorietas de 44 metros de diámetro, con dos carriles de cuatro metros de ancho, y adaptar los viales a la nueva intersección. "Para ello, será necesario ampliar un paso inferior y actuar sobre la obra de drenaje a través de la que discurre el arroyo de Tremañes.
Además, se implantarán tres carriles segregados que permitirán una conexión directa entre las dos autovías sin necesidad de pasar por las glorietas", añadía ayer el Principado. Calvo, por su parte, al hablar ayer de movilidad local, insistió en su propuesta de que el Ayuntamiento active la zona de bajas emisiones de La Calzada y que esta incluya a Príncipe de Asturias.
- Aterriza en Gijón la pastelería más moderna y que será la más grande hasta la fecha: tortitas en forma de osito, gofres de arcoíris o cupcakes en forma de unicornio
- Fallece un joven motorista de 22 años en Gijón al salirse de la vía en la autovía del Cantábrico
- Emotiva despedida al joven motero fallecido en un accidente de tráfico en Gijón: 'Muchos le querían
- Gijón utilizará una tecnología puntera suiza para recuperar la piscina de la Laboral (que antes de nada será sometida a una profunda limpieza)
- Las condiciones para adecuar locales como viviendas en Gijón: el Ayuntamiento resume los criterios básicos a cumplir
- La nueva factoría militar de Indra en Gijón sumará mil trabajadores: 'Ingenieros, técnicos... empleo de calidad
- Absuelto un varón de abusar de su hija en Gijón porque la niña está 'instrumentalizada
- El buen tiempo y el ambiente navideño llenan Gijón en el puente: 'Nos encanta la ciudad; es un bombazo